'Eta' no afectará a QRoo, pero mantenemos monitoreo: Carlos Joaquín

El fenómeno meteorológico mantiene su ruta hacia Centroamérica
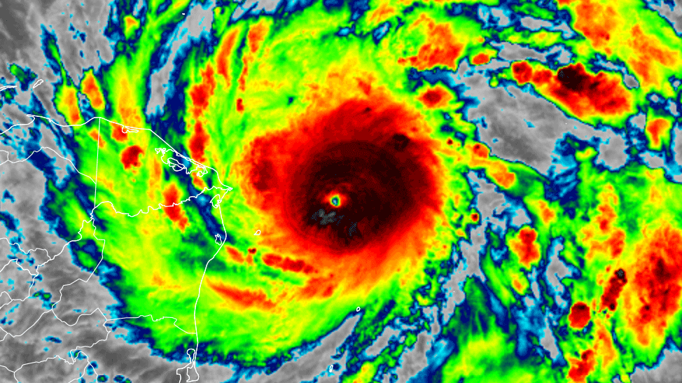
Foto: Colorado State University

El gobierno de Quintana Roo mantiene monitoreo permanente del huracán Eta, que hasta las 17 horas de este lunes es categoría cuatro, pero que no impactará al estado, al mantener su ruta hacia Centroamérica.

De acuerdo con la Comisión Nacional del Agua (Conagua) las lluvias de este lunes en la zona norte del estado, que han confundido a algunas personas que creen que se trata de los efectos del huracán, son producto del frente frío número 11, que está sobre la península de Yucatán.

A través de sus redes sociales el gobernador Carlos Joaquín ha dado a conocer la evolución de Eta desde que se gestaba como zona de baja presión hasta ahora, un poderoso huracán categoría cuatro que tocará tierra en la frontera entre Nicaragua y Honduras.

Hasta las 17 horas (tiempo de Quintana Roo) de este 2 de noviembre el centro del huracán se localiza aproximadamente a 740 kilómetros al este-sureste de Puerto Costa Maya, con vientos máximos sostenidos de 215 kilómetros por hora y rachas de 260 kilómetros por hora.

Desde el jueves pasado, el gobernador Carlos Joaquín anticipó que la entonces zona de baja presión tendría una evolución y un desarrollo hacia fenómeno ciclónico, al que había que darle puntual seguimiento, muy atentos, porque podía cambiar su evolución y su trayectoria.

“Estaremos muy pendientes y lo vamos a estar informando, por supuesto, si hay alguna modificación, cambio o posible afectación para Quintana Roo”, expresó ese día Carlos Joaquín.

Dijo que se mantiene vigilancia permanente sobre este fenómeno meteorológico a través de la Coordinación Estatal de Protección Civil y exhortó a la ciudadanía a mantenerse informada a través de fuentes oficiales.

 

Edición: Laura Espejo


Lo más reciente

Laura Sansores San Román, hermana de la gobernadora de Campeche, da informe del DIF al estilo karaoke

Todos los funcionarios de la dependencia realizaron una presentación musical de sus resultados

La Jornada

Laura Sansores San Román, hermana de la gobernadora de Campeche, da informe del DIF al estilo karaoke

Hotel Hacienda Cenote San Ignacio en Chocholá, nueva opción de turismo sostenible en Yucatán

El gobernador Díaz Mena señaló que el nuevo espacio de hospedaje busca detonar la economía local

La Jornada Maya

Hotel Hacienda Cenote San Ignacio en Chocholá, nueva opción de turismo sostenible en Yucatán

Tras críticas a su labor legislativa, diputados cancelan evento de sonideros en San Lázaro

El anuncio ocurre tras diversos señalamientos por la evidencia de que muchos diputados no cumplen sus obligaciones

La Jornada

Tras críticas a su labor legislativa, diputados cancelan evento de sonideros en San Lázaro

''México no es como lo dicen Netflix u otras plataformas'', afirma la actriz Nagibe Abbud

La también cantante ha realizado obras filántrópicas en el país; actualmente impulsa un programa en Salina Cruz, Oaxaca

Rosario Ruiz Canduriz

''México no es como lo dicen Netflix u otras plataformas'', afirma la actriz Nagibe Abbud